Grafing bei München

MGF Group – Baugrundstück für EFH in Grafing bei München!

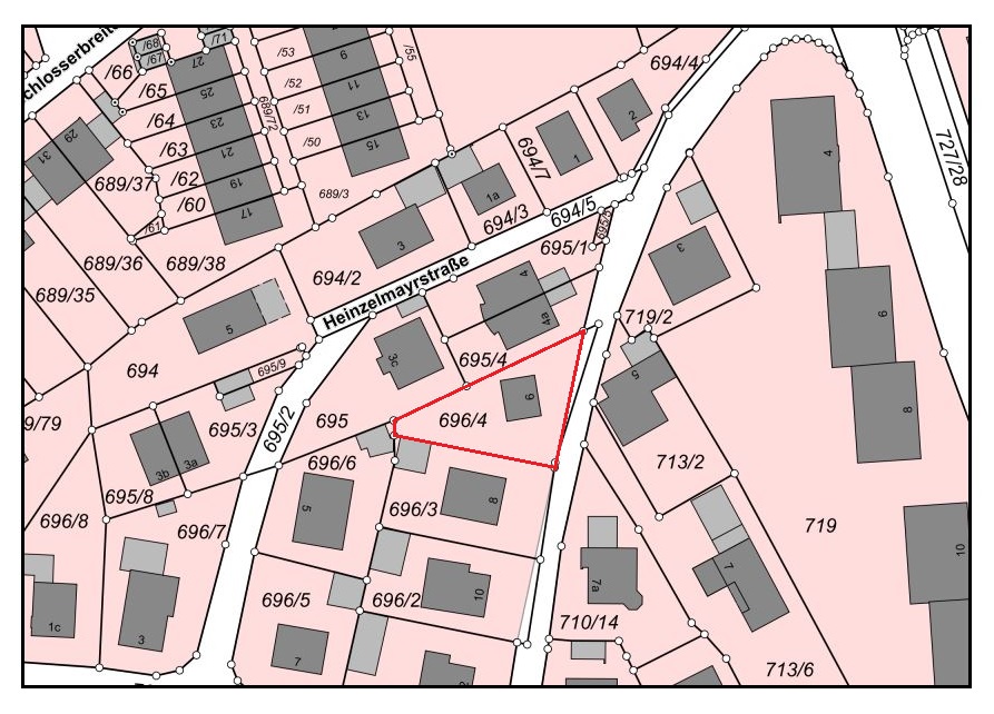
*** Baugrundstück in zentraler Lage Grafing bei München ***

Dieses attraktive Baugrundstück befindet sich in verkehrsberuhigter Straße mitten in Grafing bei München.

Die Bebauung des 468 m² großen, ruhig und zentral gelegenen Grundstücks mit Altbestand (kleines Einfamilienhaus) richtet sich nach der Nachbarbebauung gem. § 34 BauGB.

In der Umgebung sind vor allem EFH, DH, RH zu finden.

Der Abriss des Altbestandes kann auf Wunsch auch vom Eigentümer übernommen werden!

Nähere Informationen erhalten Sie gerne auf Anfrage!

Grunddaten

Ort
85567 Grafing bei München
Objektart
Wohngrundstück
Nutzungsart
Wohnen
Verfügbarkeit
Verfügbar
Vermarktungsart
Kauf

Flächenaufstellung

Grundstücksfläche
ca. 468 m²

Raumangebot und Ausstattung

Verfügbar ab
sofort
Bebaubar nach
§34 BauGB Nachbarschaft
Erschließung
Vollerschlossen
Verkaufstatus
Verfügbar

Kaufpreis

Kaufpreis
498.000 €
Käuferprovision
3 % zzgl. MwSt.

Ausstattung.

+ *Top Lage* mitten in Grafing
+ Baugrundstück mit Altbestand
+ Bebaubar nach §34 BauGB
+ verkehrsberuhigte Straße
+ Nachbarbebauung EFH, DH
+ verfügbar ab sofort

Lage

Grafing ist eine Stadt im oberbayerischen Landkreis Ebersberg und gehört zu einem der wirtschaftlich stärksten Landkreise des Münchener Umlands.

Das reizvolle Städtchen Grafing mit seinem ländlich geprägten Umfeld, bietet für seine 13.660 Einwohner, zahlreiche Geschäfte des täglichen Bedarfs, Apotheken, Ärzte, Kitas, Kindergärten und Schulen (Grundschule / Gymnasium) sind schnell erreichbar, diverse Vereine, Sporteinrichtungen, sowie das wunderschöne Umland befinden sich in naher Umgebung und bieten beste Freizeitmöglichkeiten. Den attraktiven Grafinger Marktplatz erreichen Sie in nur ca. 5 Fahrminuten. Sämtliche Supermärkte sind in kürzester Zeit erreichbar.

Auch Sportler kommen voll auf ihre Kosten, z.B. im Freibad, Eissporthalle, beim Tennis, Schießsportanlage oder in dem weitläufigen Ebersberger Forst. Außerdem verfügt Grafing über eine Haupt- bzw. Mittelschule und ein sonderpädagogisches Förderzentrum (Comenius Schule). Das Ebersberger Krankenhaus ist für seine optimale medizinische Versorgung bekannt und schnell erreichbar.

Die optimale Infrastruktur ist bei den Einheimischen, sowie Zuwanderern sehr beliebt. Die S-Bahn-Station „Grafing Stadt“ ist in ca. 6 Fahrminuten erreichbar. Von hier haben Sie Anschluss zur S4 (Geltendorf / Ebersberg), sowie zur S6 (Tutzing / Zorneding). Die nächste Haltestation „Grafing Bahnhof“ punktet mit ihrem Anschluss an die Regionalbahn. Mit dieser erreichen Sie den Münchner Ostbahnhof in nur 20 Minuten. Mit dem Auto gelangen Sie über die B304 in guten 30 Fahrminuten in die Münchner Innenstadt.

Energie & Heizung

EnergieausweisNicht erforderlich

Kontaktdaten

Frau Ilona Fritsch
Frau Ilona Fritsch
Südliche Münchner Str. 55
82031 Grünwald

EXPOSÉ anfordern

Gerne übersenden wir Ihnen unser ausführliches Exposé mit einer detaillierten Beschreibung des Objektes samt Planunterlagen per E-Mail und auf Wunsch zusätzlich per Post.